Teren intravilan 1500mp, front 26m, in autorizare locuinte
187.500 EUR
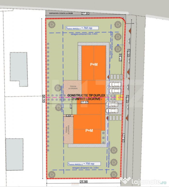
Blitz oferă spre vânzare o parcela de teren intravilan situata in Salicea, având suprafață de 1500 mp si front 26 m.Parcela este situata in zona de case, urbanizata parțial, cu acces facil de pe drum comunal, având utilități (apa, curent) la frontul proprietății. Parcela este in autorizare, din punct de vedere urbanistic este încadrată in zona = Zonă mixtă tipic rurală organizată preponderent din locuințe rurale, care alternează cu servicii specifice mediului rural : medicale, financiar-bancare, învățământ,având POTmax=35% si CUTmax =0,7, in configurația:
- Demisol + Parter + Mansardă (D+P+M)
- Subsol + Parter + Mansardă (S+P+M)
-Demisol + Parter + Etaj retras (D+P+R)
- Subsol + Parter + Etaj retras(S+P+R), Hmax =12 m,
structură funcțională mixtă incluzând - LOCUINTA SEMICOLECTIVA CU 2 UNITATI LOCATIVE ! Pentru continuarea proiectului se asigura suportul arhitectului pentru finalizarea proiectului, planșe de arhitectura, documentațiile tehnice, avizările aferente ! Pentru mai multe detalii va stam la dispoziție, va așteptăm cu drag la vizionare !
Cod ofertă / ID BLITZ: P157003
Id intern: P157003
Publicat prin HomeZZ.ro, vezi anunțul complet aici.
Anuntul Teren intravilan 1500mp, front 26m, in autorizare locuinte este adaugat de pe LaJumate.ro.
                                                                            
                                        
                                     
                                        
                                        
                                                                            
                                        
                                                                                                
                        Anunturi similare
149.000 EUR
Teren cu panorama deosebita, 725mp, cu autorizatie de constr
Blitz ofera spre vanzare teren intravilan 725mp,situat in comuna Feleacu, cu panorama deosebita spre ...
25 EUR
Teren intravilan 5000 mp2
De vânzare 5000m cu deschidere la 2 străzi Lactilrom și Posada ...
960.000 EUR
ID 7748 Teren Zona VARD - 9683 MP
LUX Imobiliare vă propune spre vânzare un teren intravilan cu o suprafață totală de 9.683 mp, situat ...
68.000 EUR
Teren cu casa demolabila, zona Centrala.
Teren cu casa demolabila in zona Centrala, suprafata totala 290 mp, deschidere stradala 7,5 metri, to ...
490.900 EUR
Teren Centura de Nord a Craiovei, 4908 mp, zona Meliss
BLITZ vă propune spre achiziție un teren extravilan de 4908 mp împrejmuit cu gard, situat pe centura ...
622.200 EUR
Teren intravilan, 24.888mp, front la strada, utilitati, Mari
???? Teren intravilan 24.888 mp – ideal pentru investiție – Mărișel, zonă turistică O oportunitate e ...
67.172 EUR
ARED Parcela Case. Loturi limitate. Direct de la dezvolta...
• Preț listare: 67.172 EUR + TVA - valabil pentru plata integrală până la 31.12.2025 • Suprafața to ...
104.000 EUR
Teren intravilan Cartier Latin/Bragadiru
Excelenta prin experienta! Teren Intravilan Construibil de vanzare in Bragadiru ndash; Cartierul ...
24.000 EUR
AZURA Imobiliare - Teren zona Slava
Teren de 525 mp – zona Slava, Pensiunea Cristal – acces dublu (Pensiunea Cristal & Ramada Events) ...
29.999 RON
Teren Intravilan Castelul de Apa Eforie Sud/Tuzla 1000mp
Vand teren Eforie Sud la hotar cu Tuzla,zona Castelul de Apa,suprafata de 1000 mp intravilan,, pretab ...







